VISIA
Visia
Observ 520X
Visia surprinde cu ușurință imagini faciale standardizate de cea mai înaltă calitate și analizează rezultatele cu cele mai noi instrumente de inteligență artificială.
În doar câteva secunde, realizează fotografii detaliate din mai multe unghiuri – față, profil stâng și drept – pentru a obține o imagine completă a tenului tău.
Aparatul folosește inteligența artificială pentru a identifica și analiza problemele pielii, precum petele pigmentare, ridurile fine, porii dilatați, roșeața sau acneea. Imaginile sunt perfect aliniate și pot fi comparate în timp, astfel încât să urmărim evoluția tenului tău și eficiența tratamentelor recomandate.
Totul se desfășoară rapid, confortabil și fără contact direct cu pielea, oferindu-ți o experiență modernă și precisă de diagnostic al pielii.
Investigație recomandată pentru orice tip de ten.
Detectarea automată a tipului de piele simplifică procesul de imagistică.
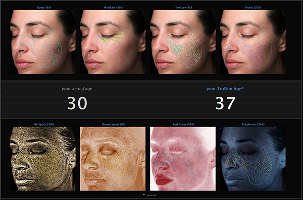
Analiza avansată a pielii
Pacienții își văd pielea așa cum nu au mai văzut-o niciodată.
Visia arată caracteristicile pielii de la suprafață și din profunzime cu o precizie și o eficiență de neegalat și comunică pacienților care este starea actuală a pielii lor.
- Pete
- Riduri
- Textură
- Pori
- Pete UV
- Pete pigmentare (maronii)
- Zone roșii
- Porfirine
Analiza genelor evaluează și măsoară rezultatele tratamentelor de îmbunătățire a genelor.
Tehnologii folosite
Analiza brevetată Comparison To Norms realizată de VISIA folosește cea mai mare bază de date din lume privind caracteristicile pielii, pentru a evalua tenul fiecărui pacient în raport cu persoane de aceeași vârstă și același tip de piele.
Funcția TruSkin Age® analizează starea generală a pielii tale și îți oferă o estimare a vârstei tenului tău, devenind un indicator revoluționar care ajută specialiștii să îți ofere cele mai potrivite produse și tratamente pentru tipul tău de ten.
IntelliFlash® de la Canfield Scientific este o tehnologie care folosește lumina ultravioletă cross-polarizată pentru a capta și măsura detaliile de la suprafața pielii, dar și de sub piele. Fotografia UV oferă informații esențiale pentru evaluarea și analiza daunelor provocate de soare, inclusiv imagini UV cu fluorescență care evidențiază prezența porfirinelor (bacterii asociate cu acneea).
Tehnologia RBX® separă semnăturile coloristice unice ale componentelor roșii și maronii ale pielii pentru vizualizarea afecțiunilor cum ar fi vasele de sânge sparte (telangiectazii), hiperpigmentarea, rozaceea și acneea.
Vizualizează suprafața pielii în trei dimensiuni din orice unghi cu vizualizatorul 3D.
Prețuri
Ofertele tratamentului
Pete
Riduri
Textura
Porii
Pete maronii
Pigmentările și decolorările de la suprafața pielii și de sub aceasta
Pete UV
Absorbția luminii UV de către melanina epidermică chiar sub suprafața pielii are ca rezultat afișarea și detectarea petelor UV care pot apărea din cauza daunelor solare.
Zone roșiatice
Zone concentrate de culoare roșie, care pot fi legate de o varietate de afecțiuni, cum ar fi inflamația, rozaceea sau vasele de sânge sparte (telangiectazii).
Porfirine
Secreții bacteriene care se pot bloca în pori.
Beneficiile Visia pentru pacienți
- Oferă consultații dinamice
- Oferă clienților posibilitatea de a vedea opțiunile pe care le au
- Oferă încredere prin interacțiuni captivante
- Acces la rezultate oricând, de oriunde
Te întrebi ce se întâmplă cu adevărat cu tenul tău?
La Q Estetic, avem instrumente avansate care ne ajută să vedem dincolo de ceea ce se observă cu ochiul liber. Terapeuții noștri îți vor arăta imagini detaliate și măsurători precise ale pielii, explicându-ți totul într-un limbaj simplu, pentru a înțelege exact ce are nevoie pielea ta și cum o putem ajuta.
Simulare avansată a îmbătrânirii
Cu softul Visia se pot ilustra efectele îmbătrânirii prin simularea creșterii în vârstă a pacienților până la 80 de ani.
Simulare tratamente injectabile
Demonstrează beneficiile injectabilelor pentru zonele frunții, glabelei, periorbitală, a părții mediane a feței, a buzelor și a bărbiei cu ajutorul Simulării Injectabile VISIA.
Locații
Vizitează-ne!
Păcurari
Observ 520X
Dispozitiv pentru vizualizarea și analiza pielii
Prețuri
Ofertele tratamentului
OBSERV 520x este un sistem de analiză a pielii de ultimă generație care ajută dermatologii, esteticienii și clinicienii să diagnosticheze cu precizie condițiile pielii atât la nivelul epidermului, cât și al dermului.
Echipat cu 10 moduri de observare complete pentru a vizualiza și analiza sănătatea pielii de la cele mai adânci straturi până la suprafață, OBSERV 520x permite atât specialistului în îngrijirea pielii, cât și clientului să studieze neregularitățile pielii în detaliu și să discute cea mai bună abordare pentru restabilirea echilibrului pielii.
Această abordare interactivă, combinată cu dovezi vizuale clare, le permite specialiștilor în îngrijirea pielii să ghideze cu ușurință clientul spre soluții de îngrijire și tratamente eficiente.
Cu ajutorul aplicației OBSERV 520x se pot păstra și arhiva toate ședințele efectuate cu un pacient. În interiorul aplicației se pot memora observațiile doctorului, se pot nota afecțiunile observate și tratamentele efectuate, iar la final se pot recomanda produsele cosmetice cele mai potrivite fiecarui pacient sau tipurile de tratamente necesare.
Cum fucționează Observ 520X?
Fotografiile „înainte și după” vor fi realizate întotdeauna din aceleași unghiuri, cu aceeași lumină, fără umbre și la o calitate constantă, fiind astfel ideale pentru a fi folosite în promovare.
Dispozitivul deține mai multe moduri de vizualizare:
- pentru diagnoticare – Daylight, Cross Polarised, Parallel- Polarised, True UV Mode, Wood’s
- pentru analiza estetică – Redness, Pigmentation, Texture, 360o Light.
Poziția pacientului poate fi ajustată în 3 moduri diferite:
- Mod de poziționare frontal
- Mod de poziționare oblic – unghi de rotație 40º stânga sau dreapta
- Mod de poziționare lateral – unghi de rotație 90º stânga sau dreapta
Vizualizarea se face în 2 moduri:
- Vizorul cu filtru de polarizare inclus;
- Cu ajutorul unui Apple iPad si a aplicației dedicate.
Descoperă inovațiile noastre
Observ 520X arată toate semnele îmbătrânirii faciale, de la modificări de volum până la pigmentare și informează clienții despre cele mai bune tratamente disponibile.
Tehnologia avansată 360 Light oferă specialiștilor o modalitate mai bună de a arăta efectele tratamentelor de volumizare. Roata dinamică ușor de controlat oferă control complet asupra punctului de lumină, astfel încât să se poată folosi umbrele pentru a arăta pe pielea pacienților unde tratamentele ar putea fi cele mai eficiente.
Toate modelele OBSERV® dispun de patru moduri de analiză de bază care evidențiază cele mai frecvente probleme ale pielii raportate de clienți. Acestea includ afecțiuni legate de textură, precum și leziuni pigmentare și vasculare aflate sub suprafața pielii
Daylight Mode
Vizualiarea în mod normal a pielii, fără umbre. Utilizată pentru a avea un punct de referință. Este modul cel mai recomandat pentru pozele de tip “before and after”.
Cross Polarised Mode
Lumina polarizată perpendicular: acest tip de lumină elimină strălucirea pielii (creează un efect de matifiere) pentru a evidenția: cuperoza, discromiile sau pigmentările, acneea, capilarele vasculare, zonele sensibile.
Parallel Polarised Mode
Lumina polarizată paralel/liniar: evidențiază texturile de pe suprafața pielii, cu accent pe riduri, pori, asprime, hiperkeratoză (îngroșarea pielii) și deshidratare.
True UV Mode
Lumina ultravioletă: identifică defectele ascunse sub suprafața pielii. Evidențiază porii, secreția de sebum și activitatea glandelor, subțierea (atrofia) pielii, cheloidele și hiperpigmentările.
Wood’s mode
Lumina de tip WOOD – dezvăluie secreția de lipide precum și acumularea de sebum din piele.
Redness
Acest mod se folosește de lumina polarizată perpendicular peste care aplică niște algoritmi pentru a evidenția doar problemele vasculare: cuperoza, capilarele vasculare, zonele sensibile
Pigmentation
Acest mod se folosește de lumina polarizată perpendicular peste care aplică niște algoritmi pentru a evidenția doar problemele pigmentare: discromiile, pigmentările, PIH sau melasme.
Texture
Acest mod se folosește de lumina polarizată paralel peste care aplică niște algoritmi pentru a evidenția doar texturile pielii și defectele vizuale de suprafață.
360 Light
Acest mod poate modifica poziția de unde vine lumina pentru a crea umbre ce evidențiază modificările de volum.
Locații





